Denuncian la muerte de Valentín, un gato que apareció con 19 disparos en Plasencia: "Hay que ser muy sádico para esto"

La protectora Adopta Plasencia pide colaboración ciudadana para evitar que se repitan casos como el de Valentín
Lo que hay que hacer si presencias una situación de maltrato animal: la forma más rápida y directa de alertar a la policía
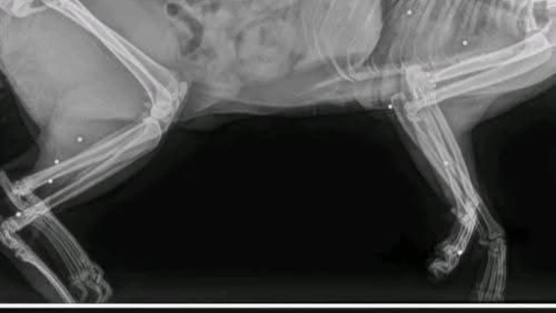
Valentín, un gato que deambulaba por las calles de Plasencia, apareció a mediados de enero herido. Fue trasladado de urgencias al veterinario pensando que se trataba de un atropello, pero las radiografías arrojaron hasta donde puede llegar la crueldad de algunos individuos.
El animal hacía recibido el impacto de 19 proyectiles por todo su cuerpo. Al parecer, fue disparado con una carabina de aire comprimido. Se hizo todo los posible por salvar su vida, pero los proyectiles hicieron imposible que sobreviviera por la heridas en pulmón, columna y cabeza, tal y como ha denunciado la protectora Adopta Plasencia, que pide colaboración ciudadana para evitar que se repitan más casos como el de Valentín.
Cuentan que Valentín era un “gato manso, gordito y feliz conocido por los vecinos de la zona”, que le daban de comer y “era un habitante más”. “Se hizo todo lo que se pudo para salvar su vida, pero había varios proyectiles que hicieron imposible que sobreviviera, pulmón, columna, cabeza... ¡Hay que ser muy sádico para esto!", denuncian

Al parecer, el caso fue denunciado y, según explica la protectora en base a lo que han contado los vecinos, los autores habrían sido unos “chavales que de vez en cuando rondan la zona armados y disparando a lo que les place”.
La protectora dice que, cuando la Policía ha querido indagar sobre el caso, los vecinos, aunque fuese anónimamente, no han querido hacer declaraciones por miedo a represalias, algo que la protectora considera “entendible y respetable”.
“Solo pido que si alguien ve que hay armas por Plasencia, no se normalice! Que se avise a la policía!! Qué los vecinos no tienen por qué dejar de pasar por ciertos sitios porque hay disparos, dejar de sacar a pasear a sus perros... Qué no es normal! Ni legal! Ni lógico que esto pase! Menos aún en plena calle!”, denuncian. La protectora confía en que difundiendo el caso de este gato, “entre todos se consiga que Valentín sea último”
